☰
×
  • Home
  • News
  • World
  • Politics
  • Defence
  • Economy
  • Technology
  • Education
  • Health & Lifestyle
  • Entertainment
  • Sports
  • Viral
  • Web Stories
Hind First English
  • Home
  • News
  • World
  • Politics
  • Defence
  • Economy
  • Technology
  • Education
  • Health & Lifestyle
  • Entertainment
  • Sports
  • Viral
  • Web Stories
home icon
News
World
Politics
Defence
Economy
Technology
Education
Health & Lifestyle
Entertainment
Sports
Viral
Web Stories
Home California
California mass shooting- 5 dead, 6 injured, alleged shooter also deceased
24 Aug 2023 2:09 PM IST

California mass shooting- 5 dead, 6 injured, alleged shooter also deceased

The USA has experienced yet another mass shooting this year, resulting in 5 fatalities and 6 individuals currently...

Read More
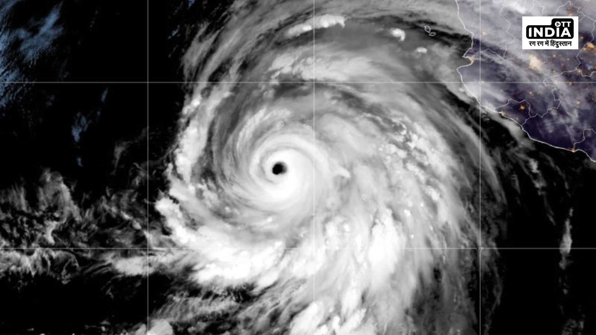
Tropical Storm and Earthquake Stir Unusual Day in California
21 Aug 2023 7:02 PM IST

Tropical Storm and Earthquake Stir Unusual Day in California

Southern California experienced a rare double trouble recently, as Tropical Storm Hilary and a 5.1-magnitude earthquake...

Read More
PREVIOUS
NEXT
News
VIEW ALL
Hindi First

Stay updated with HindFirst for breaking news in Hindi. Get the latest updates on politics, sports, entertainment, and more from India and around the world in both Hindi and English.

Categories

  • News
  • Viral
  • Politics
  • Sport

In Focus

  • Technology
  • World
  • Defence
  • Education

Site Links

  • About Us
  • Contact Us
  • Privacy Policy
  • Term and Condition

Regional News

Hindi First
Copyright © 2026   english.hindfirst.inAll Rights Reserved.

Powered by blinkcms

X